Внекореневые подкормки кукурузы
Экспериментальные лабораторные исследования адаптивной устойчивости растений кукурузы после применения внекорневой подкормки кукурузы, совершенные через две недели после опрыскивания посевов в лаборатории биотехнологии, физиологии и генетики растений ДУИСГСЗ НААН, показали, что использование прикорневых (аммиачная селитра, 20 кг/га д. в.) и внекорневой подкормки посевов культуры минеральным удобрением (Розасоль, Наномикс-кукуруза, Квантум-АкваСил) совместно с азотным минеральным удобрением (карбамид, 5,0 кг/га) способствовало уменьшению выделения из растительных клеток феофитина и приводило к уменьшению площади побурения листовых пластинок (на 12,5-14,5% по сравнению с контрольными растениями) во время термической обработки образцов листьев (водяная баня при температуре 570С) и после последующей их обработки 0,2 N раствором соляной кислоты, что свидетельствует о существенном повышении жаростойкости растений при использовании подкормок микроэлементными препаратами совместно с карбамидом, отдельно карбамидом и применения прикорневой подкормки растений аммиачной селитрой в системе питания кукурузы.
Прирост высоты растений во время цветения метелок благодаря применению листовой подкормки кукурузы (в фазе 5-7 листьев) микроэлементными препаратами совместно с карбамидом составлял 2,3-5,2% по отношению к контрольным растений (без отделки). Наибольший прирост высоты растений (4,2-5,2%) отмечен на участках вариантов с применением внекорневой подкормки кукурузы препаратами Наномикс-кукуруза, Реаком-Плюс кукуруза, Квантум-кукуруза, Розасоль в баковой смеси с карбамидом.
Наибольший прирост полезной ассимиляционной листовой поверхности (9,3-10,4 дм2/раст. по отношению к контрольным растениям) при определении в фазе цветения метелок был сформирован растениями кукурузы при внекорневой подкормке растений микроэлементными препаратами Розасоль, Реаком-Плюс-кукуруза и Квантум- кукуруза, применяемых совместно с азотным органическим удобрением.
Различия в интенсивности ростовых процессов, обусловленные вследствие различной эффективности микроэлементных препаратов при их применении с карбамидом, повлияли на формирование разного уровня зерновой урожайности посевов кукурузы, повлекшее варьирование показателей структуры урожая и индивидуальной продуктивности растений.
Наибольшее количество початков на 100 растений (87-88 шт, или на 11,5-12,8% больше, чем на контроле) сформировали посевы кукурузы при внекорневой подкормке растений в фазе 5-7 листьев микроэлементными препаратами Реаком-Плюс -кукуруза, Наномикс-кукуруза, Розасоль и Квантум-кукуруза, применяемых совместно с карбамидом. Использование этого агроприйома способствовало также как существенному увеличению морфологических показателей початка кукурузы (длины — на 13,2-15,8%, диаметра — на 8,5-9,1%), так и улучшению наполненности зерна, или массы 1000 зерен (на 2,7-3,6%), при озернености кочана на 1,4-4,2% больше, чем на контроле.
Уровень зерновой урожайности культуры является важнейшим показателем, характеризующим эффективность применяемых агротехнических приемов. Так, прибавка урожайности зерна благодаря применению прикорневой подкормки растений азотными туками (аммиачная селитра в дозе 20 кг/га д.в.) в засушливых условиях вегетации кукурузы составила 6,1% по сравнению с контролем (без обработки посевов, естественное плодородие почвы).
Большая эффективность в повышении уровня урожайности на посевах кукурузы была получена при применении внекорневой подкормки растений в фазе 5-7 листьев микроэлементными препаратами Реаком-Плюс-кукуруза, Наномикс -укуруза, Розасоль и Квантум-кукуруза совместно с азотным органическим удобрением (карбамид), что и позволило получить наибольшую прибавку урожайности зерна (11,1-12,9% по сравнению с контролем).
Требования к условиям выращивания
Кукуруза любит тепло. В основном ее возделывают в южных областях страны. Но разводить культуру можно в умеренном климате и даже в гораздо более суровых условиях Сибири. Главное – выбрать для кукурузы правильное место и обеспечить посадкам грамотный уход. В открытом грунте она лучше всего растет на максимально освещаемых солнечными лучами участках. В тени и при недостатке тепла развитие ее кустов замедляется, а зерно на початках не вызревает до молочной спелости
Растения чувствительны к воздействию холодных ветров и сквозняков, поэтому важно надежно защитить от них грядки
К качеству и структуре грунта сладкая кукуруза особых требований не предъявляет. Идеальный вариант для нее – легкая плодородная почва с небольшой кислотностью, богатая гумусом и хорошо дренированная. Высаживать кукурузные кусты на приусадебном участке лучше по соседству с бобовыми культурами, томатами, огурцами, тыквой. Неудачным будет их размещение вблизи грядок со столовой свеклой и сельдереем.
Начинают готовить место для будущих грядок с кукурузой на огороде еще осенью
Особенно важно это при возделывании раннеспелых сортов. Грунт тщательно перекапывают, выбирая из него корни сорных трав
Правильно делать это пораньше, до первых заморозков. Тогда участок можно будет обильно полить, чтобы попавшие в него семена сорняков дали всходы, а затем выполоть их. При соблюдении этих рекомендаций весенняя подготовка огорода пройдет легче, а уход за посадками потребует меньше времени и сил.
Сахарная кукуруза хорошо отзывается на удобрения. Готовя почву для грядок, их вносят дважды: осенью и весной. Под зиму по участку разбрасывают (на 1 м²):
- перегной (5 кг);
- двойной суперфосфат (0,2 кг);
- калийную соль (0,1 кг).
Заделывают удобрения в землю с помощью перекопки на глубину штыковой лопаты. Весенняя подготовка участка менее интенсивная. Перед тем как сажать кукурузное зерно, почву удобряют нитрофоской (50 г препарата на 1 м²), а затем слегка пушат. Проводят процедуру за 2–2,5 недели до планируемой даты посева семян. Землю с повышенной кислотностью дополнительно известкуют.

Уход за кукурузой после посадки
Несмотря на всю неприхотливость кукурузы, данная культура нуждается в уходе.

Как поливать кукурузу
Эта культура не нуждается в большом количестве влаги. Однако на стадии активного роста, до начала созревания початков, растения необходимо поливать. Делать это следует после окучивания кустов. Вода не должна попадать под корень. Земля вокруг корней пусть остается сухой.

Наиболее интенсивный полив необходимо обеспечить до стадии выбрасывания метелки. Поэтому уход за кукурузой в открытом грунте предполагает достаточный полив на этой стадии развития растения. Так, каждому растению необходимо до 3 литров воды ежесуточно. Только тогда оно будет интенсивно расти.
Прополка растений
Уход за кукурузой предполагает ее прополку. Прорыхлять землю нужно начинать с момента появления первых ростков. При этом обрабатывать почву следует после того, как прошел дождь. Это позволит земле лучше впитывать влагу и получать полезные для растения микроэлементы и витамины. Кроме того, рыхление будет способствовать удалению их почвы сорняков.

Как удобрять кукурузу
Удобрение является важной частью ухода за данным растением. Первую подкормку можно давать, когда на растении появится пять листочков
В этом время отлично подойдет калийная соль и аммиачная селитра. Она содержат нужные вещества для растения в этом возрасте. На более поздних сроках, кукурузу следует подкармливать более интенсивно. Это уже должен быть комплекс веществ и элементов. Его лучше всего можно представить в следующем виде: • Необходимы компост и перегной; • Коровяк и куриный навоз;
• Суперфосфаты. Ими следует обрабатывать междурядье.
Видео: как ухаживать за кукурузой
Кукуруза выращивание и уход в видео, это наглядный пример того, как нужно проводить рыхление между рядов кукурузы. Такие материалы весьма полезны. При этом необходимо заметить, что за вегетацию нужно прорыхлить между рядами три раза. И чем растение стало выше, тем на меньшую глубину допустимо рыхлить. Это делается в тем, чтобы не повредить придаточные корни.
Как ухаживать в августе
Уход за кукурузой в августе имеет свои особенности. Это связано с тем, что именно на этот период приходится окончание созревания. Поэтому уход за растением в августе наиболее важен. Такой подход гарантирует вкусные, сочные и полезные початки. В это врем можно прекратить полив, чтобы початки наливались спелостью. Основным условием является продолжение подкормки растения.
В августе для этого можно использовать те же средства, что и ранее.
Что нужно кукурузе для лучшего роста
Кукуруза — популярная культура, приносящая хороший урожай. Она теплолюбива и требовательная к температурному режиму, не любит кислых почв. Питательные вещества для роста нужны кукурузе не протяжении всего периода ее развития, вплоть до момента воскового созревания зерна.
Микроэлементы для кукурузы
Прежде чем удобрять кукурузу, важно понимать, в каких питательных веществах нуждается это растение:
![]() | Азот (N) Наибольшая потребность кукурузы в азоте приходится на период появления 6–8 листьев. Недостаток вещества проявляется в:
|
![]() | Калий (К) Сильнее всего в калии культура нуждается в период цветения. Компонент:
|
![]() | Фосфор (Р) Этот питательный элемент способствует:
|
![]() | Кальций (Са) Нехватка кальция в почве может привести к:
|
![]() | Цинк, бор, медь (Zn, В, Cu)
|
Количество удобрений рассчитывают, исходя из потребностей культуры в элементах питания и предполагаемой урожайности. Эти нормы приведены для участка 100х100 м. Если вам необходимы значения для 1 сотки (10х10 м), то просто разделите все значения на 10.
Нормы потребления микроэлементов на участок размером 100х100 м
Виды подкормок: 4 варианта
Подкормки для кукурузы делятся на два типа:
- органические;
- минеральные.
Наиболее популярный вариант органической подкормки — жидкий навоз. Для него вам потребуется:
- 50 л воды;
- 10 кг свежего коровяка.
Соедините компоненты и настаивайте 5 дней. При поливе кукурузы разводите каждые 2 л жидкого навоза 10 л воды.
Жидкий коровяк — самое востребованное органическое удобрение
Минеральные удобрения в свою очередь делятся на 3 группы: калийные, фосфорные, азотные:
![]() | Калийные и фосфорные Эти подкормки чаще всего используют в комплексе, фосфор помогает калию легче усваиваться растением. Среди фосфорных препаратов наибольшей популярностью пользуются:
Удобрения вносятся во время вегетации, на этапе 6–8 листьев.
Основная масса удобрений вносится ранней весной вместе с основными подкормками |
![]() | Азотные Азот в таких удобрениях может содержаться в амидной, аммонийной и нитратной формах.
|
Наиболее быстрым и эффективным способом передачи азота растению считается листовая подкормка карбамидом. Такая обработка улучшает проходимость нужных элементов сквозь лист. Ее проводят в безветренную погоду при температуре, не превышающей 20 градусов.
Для приготовления 4% раствора карбамида потребуется:
- 100 л воды;
- 4 кг карбамида.
При возникновении азотного голодания (пожелтении листовых пластин, тонких стеблях) вносят подкормку аммиачной селитрой
При нехватке азота также проводится внекорневая подкормка аммиачной селитрой. Раствор подготавливается из расчета 500 г селитры на 10 л воды.
Минеральные удобрения и подкормки
Основным микроэлементом выступает цинк. Азот культура начинает потреблять при появлении 6 листочков. Наибольшая потребность в азоте возникает в период формирования и роста початков. Фосфор важен на этапе роста корневой системы и формирования початков. При посеве вносят 7-10 кг фосфорного удобрения на 1 га участка.
Фосфор должен присутствовать в почве во время посева семян, поскольку он долго разлагается в почве. При внесении в поздние сроки эффекта от удобрения не будет. Фосфор лучше усваивается после известкования почвы. На снижение усвояемости этого микроэлемента влияет недостаток влаги и низкие температуры. К легкоусвояемым подкормкам относят аммофос (норма 1 ц/га).
Калий усваивается лучше всего среди всех микроэлементов. Потребность в калии возрастает в период от формирования 6 листков до цветения. Роль в следующем:
- способствует усвоению азота
- повышает засухоустойчивость и устойчивость к болезням
- влияет на формирование кочанов.
Для восполнения дефицита калия применяют хлористый калий и калийную соль. Кальций нейтрализует кислотность почвы и улучшает усвояемость минеральных веществ. При чрезмерном внесении азота снижается содержание кальция в грунте. Магний нужен на фазе завязывания и формирования зерна.
Для обеспечения культуры всеми микроэлементами используют листовые подкормки (нажать для увеличения)
| Микроэлемент | Что происходит при дефиците вещества? | Нормы для 1 т зерна |
| Азот | При недостатке культура не растет в высоту, а листья желтеют. | 25-30 кг |
| Фосфор | Задерживается фаза цветения и созревания плодов, листья становятся фиолетовыми. | 10-15 кг |
| Калий | Замедляется рост, листья желтеют, а верхушки скручиваются и засыхают. | 25-35 кг |
| Кальций | Снижается усвояемость всех минеральных веществ. | 6-10 кг |
| Магний | Снижается урожайность. | 6-10 кг |
| Сера | Останавливается рост культуры, не усваивается азот. | 3-4 кг |
| Бор | Останавливается рост культуры, начинается кущение. Листья скручиваются и появляются серые пятна. | 11 г |
| Медь | Уменьшается сахаристость и снижается урожайность. | 14 г |
| Марганец | Снижается урожайность. | 110 г |
| Цинк | Не завязываются кочаны, появляются желтые полосы на листьях, уменьшается рост культуры. | 65 г |
Для устранения дефицита марганца делают опрыскивания посевов марганцевым сульфатом из расчета 10 кг на 1 га. Для лучшей усвояемости одновременно вносят азотные удобрения. Для восстановления дефицита цинка посевы опрыскивают сульфатом цинка и известью (200 л/га). Вид минерального удобрения выбирают исходя из типа почвы:
- на выщелоченные черноземы и дерново-подзолистые почвы вносят азотсодержащие средства;
- на карбонатные черноземы – фосфорсодержащие;
- на каштановые почвы (регион Поволжья) и орошаемые посевы вносят азотные удобрения, совместно с применение калийных подкормок.
Фосфорные и калийные удобрения целесообразно вносить осенью под вспашку, совместно с органикой. Азотные и комплексные удобрения, такие как нитроаммофоска, вносят весной за две недели до посева зерна. На 1 га используют 5-8 ц нитроаммофоски.

Подкормки целесообразны в таких случаях:
- выращивание культуры на легких почвах;
- внесение удобрений перед посевом в неполном объеме;
- орошение культуры;
- холодная весна.
Для второй применяют минеральные удобрения: по 1 ц/га аммиачной селитры и суперфосфата, 0,7 ц/га калийной соли. На легких почвах дополнительно используют магниевые подкормки из расчета 45-60 кг/га.
При выборе минеральных подкормок отдавайте предпочтение высококонцентрированным средствам. Среди калийных удобрений выбирайте без содержания хлора. В развитии культуры выделяют два важных периода. Первый период – образование 7 листочков. Наиболее важен фосфор, который вносят на этапе посева зерна.
Разновидности подкормок для кукурузы
Кукурузу удобряют минеральными или органическими составами, используют рецепты народные и готовят растворы из готовых составов.
Органические удобрения
Из органических удобрений используют раствор коровяка. Его готовят, смешивая:
- 50 литров отстоявшейся воды;
- 10 кг свежего коровяка.
Смесь настаивают 5 дней. Затем поливают растения в прикорневой области. Если нет большой тары для приготовления раствора, используют 10-литровые ведра. В 10 литрах воды замешивают 2 кг свежего коровяка.

Минеральные удобрения
Все минеральные комплексы содержат по одному или несколько элементов. Их разделяют на односоставные и многосоставные. Для кукурузы используются односоставные. Для выращивания кукурузы используют комплексы с содержанием:
- азота;
- фосфора;
- калия;
- магния;
- цинка;
- меди;
- бора.
Особенность культуры заключается в том, что она потребляет все эти элементы в разные периоды вегетативного развития, поэтому вносить их нужно в разное время. Преимущественно выбирают односоставные удобрения. Применяют: аммиачную селитру, калийную соль, нитроаммофоску, карбамид, аммофос.

Азотные
Потребление азота наступает, когда растение образует первые 6 настоящих листьев. Вносят подкормку перед началом посадки в весеннее время, когда готовят грунт. В период формирования початков и активного роста зеленой массы подкормку азотом повторяют.
Калийные и фосфорные
Фосфор отвечает за формирование корней
Для кукурузы важно, чтобы корни были мощными и впитывали как можно больше полезных веществ из почвы. На 1 га участка вносят 10 кг фосфора до начала посадки
Для растения подходит использование аммофоса, вносят его согласно инструкции.
Важно! Элемент вносят весной, так как он долго переходит в усвояемую для растений форму. Если внести фосфор позже, то это вызовет дефицит у культуры
Калий легче всего усваивается культурой. После образования 6 настоящих листов потребность в этом микроэлементе возрастает. Калий улучшает усвоение азота, повышает устойчивость к засухе и инфекциям, влияет на образование плодов. Для подкормки применяют калийную соль или хлористый калий.

Народные средства
Народные средства имеют свое место в удобрении кукурузы. Использование карбамида и нитроаммофоски распространено не только в сельском хозяйстве, но и удачников.
Карбамид
На фазе формирования плодов и цветения вносят карбамид. В нем содержится много магния и азота, которые ускоряют образование початков и улучшают их качество. Подкормку проводят листовым методом дважды за сезон. Первый раз:
- после формирования 8 настоящих листьев;
- во время цветения и завязи плодов.
Готовят раствор следующим образом:
- Выбирают тару от 10 до 100 л.
- Заполняют водой, дают время отстояться.
- Вносят карбамид по инструкции: на 100 л /4 кг, на 10 л/0,4 кг.

Нитроаммофоска
Нитроаммофоска укрепляет культуру, увеличивает ее урожайность. На 1 ведро воды растворяют 2 столовые ложки смеси. Вносят раствор в почву до начала посадки. К моменту появления всходов все необходимые вещества разлагаются в почве и готовы к всасыванию растениями.
Чем подкормить кукурузу для роста
Кукуруза потребляет питательные вещества очень длительный период, поэтому основные дозы удобрений(органики и минеральных) вносят до сева. В качестве органики вносят перепревший навоз, в дозе 20-40 т. на 1 га. Хорошие приросты урожая дает удобрение навозом бедных, неплодородных почв, например, в Нечерноземье. При культивировании на более плодородных почвах, при внесении органики под предшественников, можно обойтись одними минеральными удобрениями.
| Планирумая урожайность (ц с 1 га) | Норма навоза, т /1 га | Норма минеральных удобрений, кг. на 1га | ||
| N | P2O5 | K2O | ||
| 300-350 | 30-40 | 50-70 | 60-80 | 50-70 |
| 400-450 | 40-50 | 70-100 | 80-100 | 70-90 |
| 500-550 | 50-60 | 90-120 | 100-120 | 110-140 |
Навоз, наряду с фосфорсодержащими и калийными удобрениями, вносят под вспашку. Азотные удобрения вносятся при предпосевной обработке почвы весной. Помимо основных доз питательных веществ, применяются дополнительные подкормки. Они жизненно необходимы при выращивании кукурузы на бедных почвах и недостаточном количестве внесенной органики и минеральных удобрений осенью.
Подкормка кукурузы минеральными ужобрениями
В каких дозах и чем подкормить кукурузу в июне? В этот активный период роста растения подкармливают азотными удобрениями. Рекомендованы аммиачные формы азотных удобрений, такие как, безводный аммиак, аммиачная вода, нитрофоска и жидкие комплексные удобрения. Вопрос, чем подкормить кукурузу в июле, также немаловажен. В эту фазу роста проводят повторную подкормку азотными удобрениями, в дозах 20-30 кг. д.в.
Рекомендуем проводить подкормки комплексными препаратами с микроэлементами:
Интермаг-Кукуруза, жидкое комплексное концентрированное удобрение, подходит для кукурузы, выращиваемой на зерно и на силос. Характеризуется сбалансированным по составу комплекс микро- и макроэлементов, в полном объеме отвечающим потребностям данной культуры.

Реаком-Кукуруза. Содержит набор микроэлементов в легкоусвояемой форме(в виде хелатов). Используется для внекорневых подкормок посевов.
Наномикс-Кукуруза используется для внекорневых подкормок, в фазе развития 3-5 листа, из расчета 2 л. на 1 га посадок.
Видео: чем подкормить кукурузу для хорошего роста
Количество потребления питательных веществ кукурузой довольно велико. В заключение хочется отметить, что фосфорные и калийные удобрения вносятся осенью под вспашку, большую часть азотных (70-90% нормы) вносят при весенней культивации почвы, оставшееся количество вносят в виде подкормок. Использование сбалансированных и своевременных подкормок является непременным условием для получения хорошего урожая и высокого качества продукции.
Как влияют химические вещества на рост сахарной кукурузы
Для данной культуры самым важным микроэлементом остается азот, причем на всех этапах развития. Дефицит этого вещества может спровоцировать замедление роста листьев, стеблей. Их цвет меняется, приобретая визуальную невзрачность. Метелки выбрасывается с опозданием. В период основной вегетации (за 1.5-2 недели до и на протяжении 3 недель после формирования метелки) фиксируется более высокая потребность в азоте.
В указанный период зачастую и фиксируются визуальные признаки дефицита азотного питания: часть листьев, находящиеся у нижней части, приобретают выраженную желтизну. В последствии кочаны кукурузы становятся небольшими по размерам, при этом зерно внутри маленькое.

На протяжении всего периода вегетации растению требуется фосфор
Это вещество является важной частью нуклеиновых кислот, оно принимает непосредственное участие при накоплении углеводов. О недостаче фосфора в почве свидетельствуют следующие признаки: замедление роста растения и медленное созревание кочанов
Перечисленные признаки хорошо увидеть на ранних всходах сахарной кукурузы. Молодые растения в итоге оказываются невысокими с красно-фиолетовыми или темно-зелеными листьями. Отсутствие фосфорного удобрения чревато неполными, искривленными или недоразвитыми зернами.
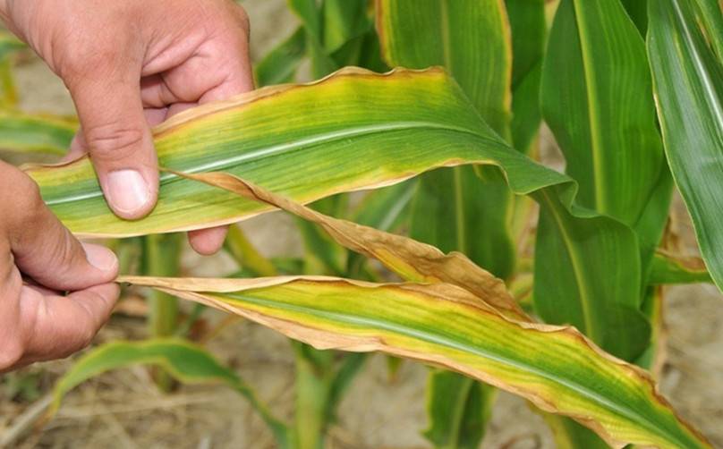
После прорастания до формирования метелки сахарной кукурузе требуется большого количества калия. Отсутствия указанного элемента отрицательно сказывается на скорости развития ростков, образованию зелени и даже молодых початков. Листья постепенно приобретают желто-зеленый оттенок, после чего они становятся и вовсе желтыми. Концы и края листиков с течением времени начинают засыхать, словно их обжигают.
В некоторых случаях растительная масса приобретает выраженную желтизну, дополненную пятнами ржавчины, которые образовываются у верхушки и по краям листиков. Если высадить растение в почву, где содержится небольшое количество калия, они будут не способны прижиться в грунте, ввиду плохого развития корневой системы. Початки формируются без полного заполнения зерном, листья отличаются непропорциональной длиной, зерна оказываются маленькими или же пустыми.
В почве должен содержаться еще один важный элемент – магний. О его дефиците можно судить по тем же листьям. Пример: внизу ствола у листьев формируются светло-желтые полосы. На первом этапе они едва заметны, выглядят бледными, а с течением времени приобретают насыщенный оттенок, в некоторых случаях они даже белеют. Это основные признаки отсутствия магния.

Преимущества и недостатки удобрений и народных средств
К преимуществам можно отнести такие условия:
- С использованием удобрений растение получает все необходимые микроэлементы, которых недостаточно на легких почвах;
- Растение меньше болеет;
- Растение менее подвержено вредителям;
- Увеличивается урожайность;
- Снижается риск «голодания» земли для следующего года.
К минусам можно отнести только неумелое обращение с подкормками:
- В гонке за урожайностью пресыщение земли искусственными удобрениями на долгое время лишает ее плодородности;
- Пресыщение продуктов микроэлементами может вызывать у человека аллергию, хронические заболевания.
Правильное использование удобрений, как во время основного осеннего, весеннего периода, так и внекорневых подкормок, принесет здоровый, дружный урожай. Если вы не уверены в необходимости внесения того или иного элемента, стоит удостовериться, и только после этого использовать его.
Зачем нужны подкормки
Тем, кто впервые занялся выращиванием этой культуры на даче, стоит больше узнать об агротехнических приемах, сроках и способах применения удобрений для кукурузы. На протяжении всего периода вегетации и до сбора урожая растению требуется поддержка и обильное питание, поэтому предстоит регулярно вносить минералы и органику весной, летом и осенью. Количество подкормок и выбор удобрений зависят от качества грунта на участке, сорта кукурузы и климатических особенностей. В разных регионах объемы и сроки внесения подкормок различаются.
В каких питательных элементах нуждается культура?
- Одним из важных элементов питания кукурузы является азот. Больше всего потребность в нем возникает на этапе формирования репродуктивных органов. При дефиците азота рост стеблей останавливается, и кукуруза желтеет.
- Фосфор нужен на этапе формирования корневой системы и цветения. Его дефицит замедляет развитие кукурузы.
- Цинк необходим, чтобы повысить стойкость растения к температурным перепадам. Нехватка этого элемента проявляется отсутствием завязей и желтыми полосами на листьях.
- Калий отвечает за распределение воды. Недостаток калия станет причиной полегания культуры и скручивания верхушек.
- Бор и медь стимулируют выработку аскорбиновой кислоты и сахаров. Без указанных элементов листья покрываются пятнами, а сахаристость зерна снижается.
- Марганец и магний существенно влияют на объем урожая.














